El Consello de la Xunta acordó hoy la aprobación provisional del proyecto para remodelar y mejorar el carril bici entre Vigo y Nigrán que discurre por la Carretera de la Vía (PO-325), reforzando su papel de eje de movilidad sostenible entre Vigo, Nigrán, Gondomar, Baiona e incluso Oia y A Guarda al conectarse con las sendas de la PO-340 y la PO-552.
Esta intervención cuenta con una inversión del Gobierno gallego estimado en más de 5 M€, y tiene como objetivo actuar a lo largo de 13,3 km de esta vía autonómica, entre los puntos kilométricos 0+700 a 14, en un ámbito con un fuerte crecimiento poblacional que continuará en los próximos años, y donde son muy frecuentes los desplazamientos a las zonas de playas entre la ciudad de Vigo y Nigrán.
Las actuaciones que se van a desarrollar consisten en la conformación de una senda mixta peatonal y ciclista con una sección tipo de 3 metros y que tenga continuidad en las intersecciones. Los criterios para su trazado se ajustan en casi todo al espacio disponible en la carretera. Esta ampliación de la sección será especialmente relevante en el tramo que une Navia con la senda del río Lagares, que es uno de los tramos más frecuentados por peatones y ciclistas.
En aquellas zonas donde se dispone de un ancho de paso suficiente, se ejecutarán zonas para el descanso de los usuarios. También se dispondrá de árboles y mobiliario: bancos, papeleras y aparcabicicletas.
El proyecto redactado por el departamento de Infraestructuras de la Xunta prevé en los puntos kilómetros 2+600, 3+800 y 12+500 la disposición de 3 áreas de transferencia entre vehículo y bicicleta, donde se podrá aparcar el vehículo y continuar el paseo en bicicleta.
Además, en diversos puntos del trazado donde las condiciones topográficas o la existencia de edificaciones no hace posible la ampliación de la plataforma, se reordenará la sección transversal, disminuyendo el ancho del carril para vehículos hasta los 3 metros, favoreciendo la moderación de la velocidad.
Una de las cuestiones más relevantes del proyecto diseñado por el departamento de Infraestructuras de la Xunta es la mejora de los cruces para dar continuidad en ellos a la senda peatonal y ciclista, que con la configuración actual se pierde en algunas glorietas, así como habilitar esta continuidad en el tramo urbano de Nigrán.
Actuaciones complementarias
El proyecto provisional aprobado hoy por el Ejecutivo autonómico prevé distintas actuaciones complementarias e imprescindibles para garantizar la correcta funcionalidad de la senda proyectada. Así, en las intersecciones se mantendrá la geometría de las vías con las que cruzan la senda, y además se proyectarán pasos peatonales sobreelevados en las intersecciones.
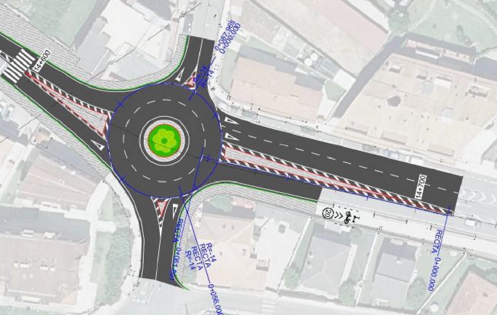
También se diseñan dos nuevas glorietas en los puntos kilométricos 2+650 y 14+650 (en A Ramallosa), con borde de hormigón remontable, con la finalidad de ganar espacio para la senda al eliminarse cruces conflictivos y algunos giros a la izquierda, lo cual mejorará la seguridad vial y ayudará a moderar la velocidad de circulación de los vehículos.
Además, el aparcamiento, que se ejecutará en el entorno del punto kilométrico 12+540, con la finalidad de eliminar vehículos de la zona de tránsito y alcanzar un entorno más favorable y atractivo para el uso de vehículos de movilidad personal, permitirá la transferencia entre los diferentes medios de transporte (vehículo a motor y medio de transporte sostenible); compensando también la pérdida de plazas debido a la ejecución de los itinerarios para movilidad sostenible sobre las plazas de aparcamiento existentes.
Ahora, tras el acuerdo hoy del Ejecutivo autonómico, en los próximos días se someterá al trámite de información pública el proyecto, por un plazo de un mes. Este es un trámite necesario para que los interesados puedan presentar sugerencias y también a los efectos expropiatorios, ya que para la ejecución de las obras será necesario expropiar un total de 37 predios (26 pertenecientes al ayuntamiento de Vigo y 11 pertenecientes al ayuntamiento de Nigrán), con una superficie de 3.218,00 m2.
La previsión de la Consellería de Vivenda e Planificación de Infraestruturas es poder aprobar el proyecto, realizar la convocatoria de levantamiento de actas previas de las expropiaciones y licitar la ejecución de las obras a lo largo del año 2025.

